6210 Dash Point Boulevard NE Tacoma, WA 98422

Here is the approximate boundary of the property. A survey was completed in 2024.

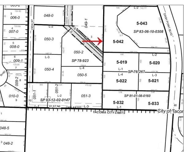
Here is the copy of the preliminary short plat that was started in 2024 designed for three lots.

The preliminary short plat has access from Watchtower Rd NE and there appesrs to he access from Dash Point Blvd NE as well--(buyer to verify)

The lot has a slight slope. As far as we know, all homes to be built will have Sound and Mountain views.

You can see the access acrea to Dash Point Blvd NE in the lower right side.

The homes in the current neighborhood have sold for over $1,000,000.00!
6210 Dash Point Boulevard NE
Tacoma, WA 98422
$750,000
Land
0 Beds
0.00 Baths
0 SqFt
Active
Rare opportunity in Pierce County’s Urban Growth Area! This approx. 0.7-acre parcel offers exciting development potential with a partial short plat for three lots completed, providing a head start for builders and investors. Access to these lots is from Watchtower Rd. NE, yet it looks like there may be access from Dash Point Rd. Located within the UGA, the property benefits from growth-oriented zoning that supports additional residential development (buyer to verify). The site features captivating Puget Sound and mountain views, adding premium appeal for future homes. Recent price point for sales in the area have been over $1,000,000.00+ Utilities are available in the street, and the location offers convenient access while maintaining a sense of privacy. Whether completing the existing short plat, exploring further development potential, or keeping the property as -is and building your own dream estate! This is a standout investment opportunity in a highly desirable setting.
Property Features
Community: Browns Point
Res-Less thn 1 Ac
View:
View: Sound
View: Territorial
Brush
Lightly Treed
Pool: Above Ground
2025 Taxes: $2938.00
Buyer Broker Comp.: 2.5%
Listing #: 2511909
Lot Details
Lot Size: 0.70 acres
Lot Dimensions: 354x246x139x85x92x123x159x27
Paved
Secluded
Topography: Level
Topography: See Remarks
Topography: Sloped
Road: Paved
Utilities
Electricity: In Street
Water: In Street
Gas: Not Available
Sewer: Available
Sewer: In Street
Schools
District: Tacoma
Elem: Buyer To Verify
Middle: Buyer To Verify
High: Buyer To Verify
Call or Email:
Grace Wamwere
What's Near 6210 Dash Point Boulevard NE Tacoma, WA 98422?

Information is based on data available to the associate, including county records. The information has not been verified by the associate and all information presented should be verified by the buyer. Listings are provided by Northwest Multiple Listing Service as distributed by MLS GRID. The associate represented on this web site is not a multiple listing service but is a member of a local MLS.
DMCA Notice