13 NE Shore Drive Indianola, WA 98342

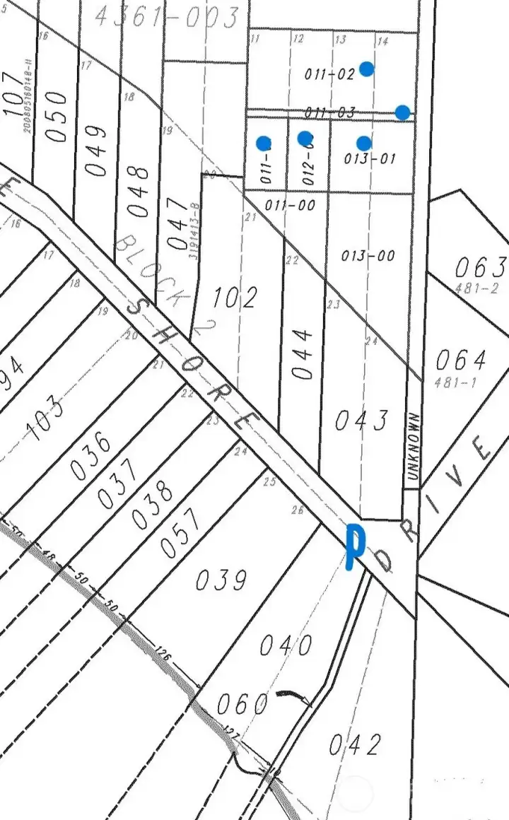
Parcels for sale (two listings) with blue dots, best to park off Shore Dr. near beach access.

Parcel map with blue dots of lots for sale, note 2 separate listings.
13 NE Shore Drive
Indianola, WA 98342
$225,000
Land
0 Beds
0.00 Baths
0 SqFt
Active
Several lots near 1/2 acre lot (total) with good potential for 2-3 homesites. Water views possible to the south. These lots do not have PUD water hookup paid, unlike north separate lot, see listing #2511790. Development for these parcels will need road/driveway work for access off Shore Drive. No feasibility work done for road access, additional lot for sale to the north of these lots. Opportunity to buy them all and spread cost of road build, at a combined price of $425,000. Location off Shore Drive is near Enchedes beach access (best to park there), and close to Indianola Clubhouse, Dock, Country Store, play areas and trails in this special community!
Property Features
Community: Indianola Beach
Res-Less thn 1 Ac
View: See Remarks
Brush
Evergreens
Pool: Above Ground
2026 Taxes: $1043.00
Buyer Broker Comp.: 3.0%
Listing #: 2511830
Lot Details
Lot Size: 0.49 acres
Lot Dimensions: Multiple
Topography: Sloped
Road: Access Easement
Road: County Right of Way
Road: See Remarks
Utilities
Electricity: Not Available
Water: Not Available
Gas: Not Available
Sewer: Not Available
Community Features
Athletic Court
Boat Launch
Club House
Park
Playground
Trail(s)
Schools
District: North Kitsap #400
Elem: Suquamish Elem
Middle: Kingston Middle
High: Kingston High School
Call or Email:
Grace Wamwere
What's Near 13 NE Shore Drive Indianola, WA 98342?

Information is based on data available to the associate, including county records. The information has not been verified by the associate and all information presented should be verified by the buyer. Listings are provided by Northwest Multiple Listing Service as distributed by MLS GRID. The associate represented on this web site is not a multiple listing service but is a member of a local MLS.
DMCA Notice