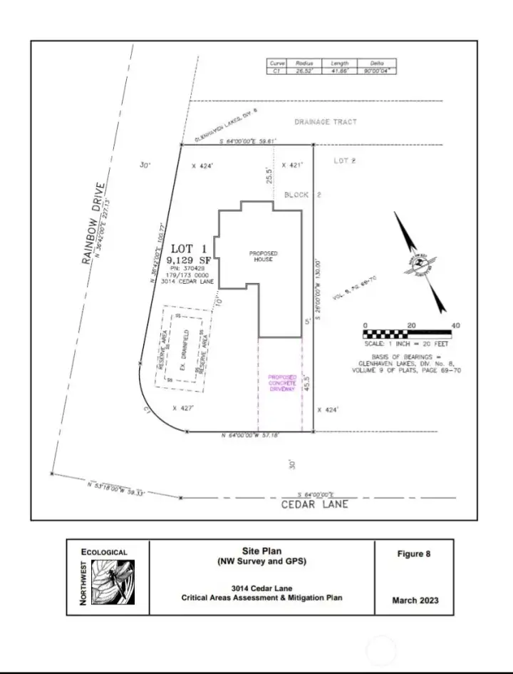
3014 Cedar Lane Sedro Woolley, WA 98284

Creek is on the backside of the property.

Creek is on the backside of the property.

Trail that leads to the lake.

Lake is a 2-minute walk from property.

PRIOR home build approval.

PRIOR septic approval.
3014 Cedar Lane
Sedro Woolley, WA 98284
$99,900
Land
0 Beds
0.00 Baths
0 SqFt
Active
*BUILDABLE CORNER LOT NEAR GLENHAVEN LAKE W/CREEK w/ PRIOR SEPTIC APPROVAL*Buildable corner lot just a short 2-minute walk from Glenhaven Lake in one of the Pacific Northwest's most peaceful mountain communities. This beautiful homesite features a natural creek along the back of the property, creating a private, serene setting surrounded by nature.The level lot offers excellent flexibility for building, with access from two sides--ideal for a home, detached garage, workshop, or RV parking. A nearby trail leads directly to the lake, making it easy to kayak, fish, or enjoy the calm water and mountain views. Previously approved for a building site and septic system, this property provides a strong head start toward development. Located in the Glenhaven Lakes community, residents enjoy access to two private lakes, boat launches, fishing, swimming, trails, a pool, clubhouse, tennis courts, and more.Utilities nearby include water, electricity at the street, and high-speed internet.Whether you're planning a full-time home, weekend retreat, or investment property, this lot offers a retreat combination of buildability, privacy, and outdoor lifestyle.
Property Features
Community: Glenhaven
Res-Less thn 1 Ac
View:
View: Territorial
Waterfront: Creek
Evergreens
Lightly Treed
Partially Cleared
Stream/Creek
Pool: Above Ground
2026 Taxes: $491.00
Buyer Broker Comp.: 2%
Listing #: 2510234
Lot Details
Lot Size: 0.21 acres
Corner Lot
Cul-De-Sac
Paved
Topography: Level
Road: County Maintained
Road: Paved
Utilities
Electricity: In Street
Water: Community Well
Water: In Street
Water: Share Available
Gas: Not Available
Sewer: Not Available
Community Features
Athletic Court
Boat Launch
CCRs
Club House
Community Well
Park
Playground
Schools
District: Mount Baker
Elem: Acme Elem
Middle: Mount Baker Jnr High
High: Mount Baker Snr High
Call or Email:
Grace Wamwere
What's Near 3014 Cedar Lane Sedro Woolley, WA 98284?

Information is based on data available to the associate, including county records. The information has not been verified by the associate and all information presented should be verified by the buyer. Listings are provided by Northwest Multiple Listing Service as distributed by MLS GRID. The associate represented on this web site is not a multiple listing service but is a member of a local MLS.
DMCA Notice