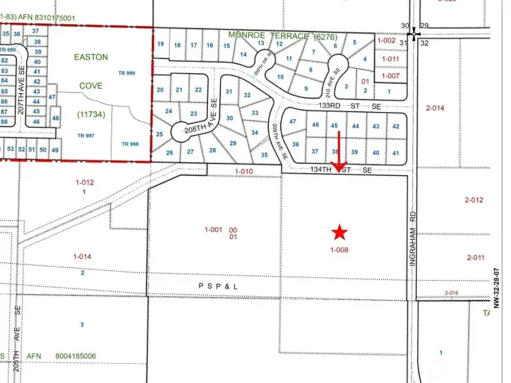
134 SE St & Ingraham Monroe, WA 98272

Approximate Property Lines
134 SE St & Ingraham
Monroe, WA 98272
$4,950,000
Land
0 Beds
0.00 Baths
0 SqFt
Active
Exceptional large-scale development opportunity in Snohomish County’s fast-growing Monroe corridor. Located at 134th St SE & Ingraham Rd, this 12.45-acre vacant land site is zoned County R-9,600, in the UGA. A great opportunity for builders, developers, and middle-housing groups seeking scale in a high-demand residential market. Recent critical-area feasibility and wetland delineation work has already been completed, clearly identifying wetlands, stream buffers, and multiple approved buffer-reduction/averaging strategies, giving future ownership a major head start in entitlement planning. Based on preliminary land-planning concepts, the site shows potential for approximately 40–45 single-family lots or an estimated 75–90 multifamily/middle-housing units, subject to final engineering, a critical-area mitigation strategy, plat design, and Snohomish County approval. The parcel benefits from paved frontage on 134th St SE and Ingraham Rd, level topography in the primary build zones, and water, sewer, gas, and electricity available in the street. With wetlands already mapped, clear development pathways outlined in the feasibility report, and multiple density strategies available through county code, this is a rare opportunity for a developer to capitalize on one of Monroe’s most supply-constrained growth corridors. Wetland feasibility identifies multiple reduction methods, including averaging, enhancement, separate tract, and combined methods, to help maximize density potential.
Property Features
Community: Monroe
Res-Over 1 Acre
Brush
Heavily Forested
Pool: Above Ground
2025 Taxes: $2992.00
Buyer Broker Comp.: 2%
Listing #: 2506424
Lot Details
Lot Size: 12.45 acres
Corner Lot
Topography: Level
Road: Paved
Utilities
Electricity: In Street
Water: Available
Water: In Street
Gas: In Street
Sewer: In Street
Call or Email:
Grace Wamwere
What's Near 134 SE St & Ingraham Monroe, WA 98272?

Information is based on data available to the associate, including county records. The information has not been verified by the associate and all information presented should be verified by the buyer. Listings are provided by Northwest Multiple Listing Service as distributed by MLS GRID. The associate represented on this web site is not a multiple listing service but is a member of a local MLS.
DMCA Notice