5526 Puffin Place Blaine, WA 98230

Exceptional gated development opportunity near Semiahmoo Resort in Blaine WA. Rare offering of four contiguous waterview homesites in the coveted Semiahmoo area. Zoning supports duplex construction or custom residences with detached casitas (buyer to verify). Three parcels exceed 1/2 acre, offering privacy, space, and versatile design potential. A private paved road serves all lots, with City of Blaine utilities available in the street—an increasingly valuable infrastructure advantage. Ideally located less than two hours from Seattle and approximately 37 miles from Vancouver, BC. Residents enjoy close proximity to the Arnold Palmer-designed Semiahmoo Golf & Country Club, Semiahmoo Marina with access to the San Juan Islands, and miles of scenic walking and biking trails. Nearby recreation includes kayaking, running, and skiing at Mount Baker and Whistler. Additional amenities include the 200-room Inn at Semiahmoo featuring restaurants, spa, pool, and health club, as well as the

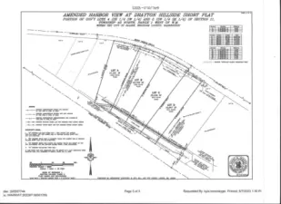
Plat for homesite A

Lines are for general idea of lines only with Lot 16-A 5526 Puffin Place being the first one on the left. Puffin place is a private road and gated. These are duplex lots or a home and Casita (guest home). Elevated panoramic view site, with views well over the homes.

Tremendous view potential

City lights of White Rock and the Canadian Mountain range, Semiahmoo spit, Marina and Drayton Harbor views.

Looking back at Semiahmoo Marina and the Canadian Cascade mountain range

Semiahmoo Golf & Country club. Also, the Great Blue Heron Bar and Grill

Semiahmoo Marina
5526 Puffin Place
Blaine, WA 98230
$1,450,000
Land
0 Beds
0.00 Baths
0 SqFt
Active
Exceptional gated development opportunity near Semiahmoo Resort in Blaine WA. Rare offering of four contiguous waterview homesites in the coveted Semiahmoo area. Zoning supports duplex construction or custom residences with detached casitas (buyer to verify). Three parcels exceed 1/2 acre, offering privacy, space, and versatile design potential.A private paved road serves all lots, with City of Blaine utilities available in the street—an increasingly valuable infrastructure advantage.Ideally located less than two hours from Seattle and approximately 37 miles from Vancouver, BC. Residents enjoy close proximity to the Arnold Palmer-designed Semiahmoo Golf & Country Club, Semiahmoo Marina with access to the San Juan Islands, and miles of scenic walking and biking trails. Nearby recreation includes kayaking, running, and skiing at Mount Baker and Whistler.Additional amenities include the 200-room Inn at Semiahmoo featuring restaurants, spa, pool, and health club, as well as the Golf & Country Club with the Blue Heron Bar & Grill, driving range, seasonal pool, and tennis facilities.Homesites capture sweeping views of Drayton Harbor, Semiahmoo and Blaine marinas, White Rock, BC, and the Canadian Cascade Mountains—offering a truly exceptional coastal setting.Opportunity includes: 5526, 5522, 5518, 5514 Puffin Place, Blaine WA, 98230.
Property Features
Community: Semiahmoo
Res-Less thn 1 Ac
View:
View: Bay
View: City
View: Partial
View: Territorial
Comm. Grade Timber
Evergreens
Pool: Above Ground
2026 Taxes: $0.00
Buyer Broker Comp.: 3%
Listing #: 2500412
Lot Details
Lot Size: 2.06 acres
Dead End Street
Paved
Topography: Rolling
Topography: Sloped
Road Sides: South
Road: Paved
Utilities
Electricity: In Street
Water: Available
Gas: In Street
Sewer: Available
Sewer: In Street
Community Features
Boat Launch
CCRs
Club House
Gated
Golf
Park
Playground
Trail(s)
Schools
District: Blaine
Elem: Blaine Elem
Middle: Blaine Mid
High: Blaine High
Call or Email:
Grace Wamwere
What's Near 5526 Puffin Place Blaine, WA 98230?

Information is based on data available to the associate, including county records. The information has not been verified by the associate and all information presented should be verified by the buyer. Listings are provided by Northwest Multiple Listing Service as distributed by MLS GRID. The associate represented on this web site is not a multiple listing service but is a member of a local MLS.
DMCA Notice