2 Lomax Street Aberdeen, WA 98520
2 Lomax Street
Aberdeen, WA 98520
$55,000
Land
0 Beds
0.00 Baths
0 SqFt
Active
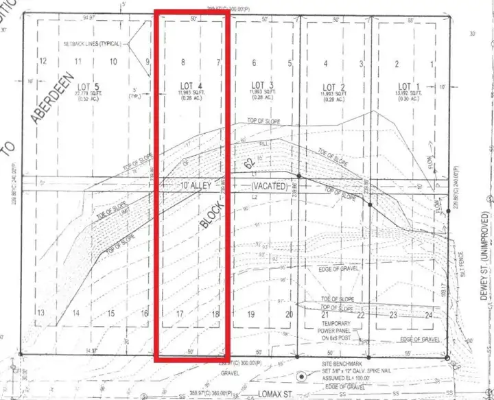
Over a half-acre overlooking South Aberdeen. Build your multi-family complex or a private hilltop estate. Seller has initiated a boundary line adjustment and will complete it upon satisfaction of buyer's feasibility. This homesite is up on a hill, out of the flood zone, with no through traffic on the street. Water, power, and sewer are in the street. An area of the lots has been excavated, leveled, and graveled. The property has a completed topographic survey, geotechnical report, and utilities marked.
Property Features
Community: South Aberdeen
Res-Less thn 1 Ac
Pool: Above Ground
Taxes: $0.00
Buyer Broker Comp.: 3%
Listing #: 2492762
Lot Details
Lot Size: 0.28 acres
Road: Paved
Utilities
Electricity: In Street
Water: In Street
Gas: In Street
Sewer: In Street
Schools
District: Aberdeen
Call or Email:
Grace Wamwere
What's Near 2 Lomax Street Aberdeen, WA 98520?

Information is based on data available to the associate, including county records. The information has not been verified by the associate and all information presented should be verified by the buyer. Listings are provided by Northwest Multiple Listing Service as distributed by MLS GRID. The associate represented on this web site is not a multiple listing service but is a member of a local MLS.
DMCA Notice