
Post card setting of Lake Boren.

Aerial view of lot.

View of waterfront lot and Lake Boren in the distance.

From the lot, a stop light on Coal Creek Parkway provides easy access in 3 directions.

From Lake Boren looking towards the lot.

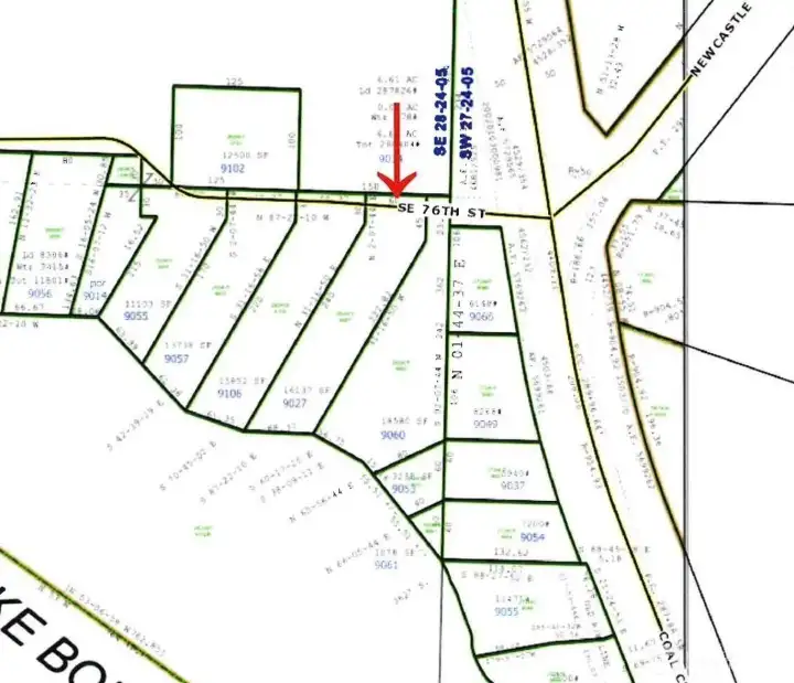
Plat map of the lot, taxid 2824059027.

Looking northwesterly, Downtown Bellevue is in the distance, a leisurely 15-20 minute drive.

Driveway on property.

View looking southwesterly from the northeast end of the lot.

View of home to the east of the waterfront lot.

View of home to the west of the waterfront lot.

Picnic area of Lake Boren Park

Tennis and basketball are in the park.

Lake Boren Playground.

Playground picture, number 2.

Lake Boren Park trails.