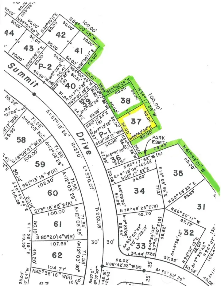
15 North Summit Drive Bellingham, WA 98229

60' Wide Access Area to the Property.
15 North Summit Drive
Bellingham, WA 98229
$29,900
Land
0 Beds
0.00 Baths
0 SqFt
Pending Feasibility
Very desirable down-sloping vacant lot located in the lakeside and golf course community of Sudden Valley - with filtered territorial views towards Lake Whatcom. This property has had a recent survey - and corners are clearly marked. The property is accessed by a 50' wide access area (see plat map) and sits 60' away from North Summit Drive. The P-1 access area is located between the homes at 15 and 17 North Summit Dr. The vacant lot to the left of this property is owned by Sudden Valley and was previously turned into a natural area (green-belt) - providing green areas on three sides of this property. The gentle down slope makes this property conducive for a home plan with main level living (including garage) and a daylight basement below. Possibly even a home design with the entire primary suite above the main level if desired. Enjoy filtered territorial views towards Lake Whatcom and the Stewart Mountains. Extremely nice setting!
Property Features
Community: Sudden Valley
Res-Less thn 1 Ac
View:
View: Partial
Brush
Corners Flagged
Evergreens
Pool: Above Ground
2026 Taxes: $362.77
Buyer Broker Comp.: 3.5%
Listing #: 2490417
Lot Details
Lot Size: 0.07 acres
Lot Dimensions: 50' x 60'
Paved
Topography: Sloped
Road: Paved
Road: Privately Maintained
Utilities
Electricity: Available
Water: Available
Gas: Not Available
Sewer: Available
Community Features
Athletic Court
Boat Launch
CCRs
Club House
Golf
Park
Playground
Trail(s)
Schools
District: Bellingham
Elem: Geneva Elem
Middle: Kulshan Mid
High: Bellingham High
Call or Email:
Grace Wamwere
What's Near 15 North Summit Drive Bellingham, WA 98229?

Information is based on data available to the associate, including county records. The information has not been verified by the associate and all information presented should be verified by the buyer. Listings are provided by Northwest Multiple Listing Service as distributed by MLS GRID. The associate represented on this web site is not a multiple listing service but is a member of a local MLS.
DMCA Notice