1809 NE 170th Street Shoreline, WA 98155
1809 NE 170th Street
Shoreline, WA 98155
$795,000
Residential
9 Beds
10.00 Baths
5760 SqFt
Active
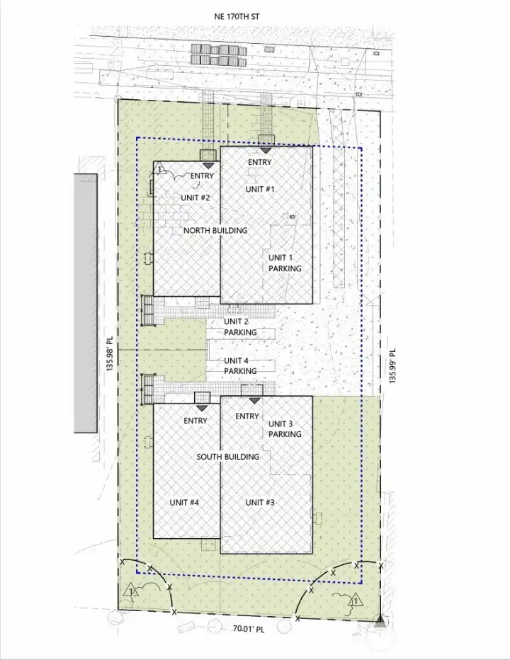
Attention Builders / Investors: Rare opportunity to immediately start construction on Shovel Ready project with no design & entitlement risk. 4-unit middle housing project in Shoreline’s North City neighborhood. City permits are APPROVED and ready to issue, structures have been removed, and required tree removal is complete. The approved plan consists of four units across two, 2-story duplex buildings: each with a 1,685 SF 3-bedroom / 2.5-bath home with office and 1-car garages, and a 1,196 SF 2-bedroom / 2.5-bath homes with flex rooms (office space or possible 3rd beds) and surface parking. Two-story design utilizes conventional framing, simple forms, and repeatable layouts that support shorter construction duration and cost efficiency. Flexible exit options- build-to-hold with strong rental appeal, sell individually or a hybrid exit. Ideally located within close proximity to both light rail stations and amenities. Served by award-winning Shoreline schools.
Property Features
Community: Shoreline
2 Story
Fenced-Partially
New Construction: Yes
Bus Line Nearby: Yes
Exterior: See Remarks
Roof: Composition
Parking: Attached Garage
Year Built: 2026
2025 Taxes: $5138.00
Buyer Broker Comp.: 2.5%
Listing #: 2484089
Lot Details
Lot Size: 0.22 acres
Paved
Interior
Cooling: Heat Pump
Heating: Heat Pump
Electric
Schools
District: Shoreline
Call or Email:
Grace Wamwere
What's Near 1809 NE 170th Street Shoreline, WA 98155?

Information is based on data available to the associate, including county records. The information has not been verified by the associate and all information presented should be verified by the buyer. Listings are provided by Northwest Multiple Listing Service as distributed by MLS GRID. The associate represented on this web site is not a multiple listing service but is a member of a local MLS.
DMCA Notice