702 N Washington Street Everson, WA 98247
702 N Washington Street
Everson, WA 98247
$775,000
Land
0 Beds
0.00 Baths
0 SqFt
Active
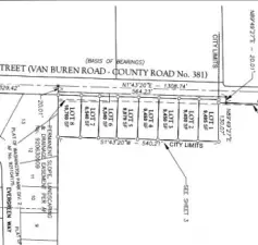
Fully engineered development opportunity in Everson. Fieldview Terrace short plat includes 8 single-family lots with engineered plans submitted and final plat approval pending. Full utility and road infrastructure plan also designed and submitted. No wetland impacts. Excellent potential for a builder or investor to step in at the finish line. Existing 5-bedroom farmhouse in good condition with tenants in place. Generates interim rental income while development is finalized, or buy and hold as a long term investment. Buyer to verify final plat recording timeline and development conditions with City.
Property Features
Community: Everson
Res-Over 1 Acre
View: Territorial
Pasture Land
Pool: Above Ground
2025 Taxes: $1897.00
Buyer Broker Comp.: 2.5%
Listing #: 2481020
Lot Details
Lot Size: 1.86 acres
Lot Dimensions: 149x540
Topography: Level
Road Sides: West
Road: County Maintained
Utilities
Electricity: In Street
Water: In Street
Gas: In Street
Sewer: In Street
Schools
District: Nooksack Valley
Elem: Buyer To Verify
Middle: Buyer To Verify
High: Buyer To Verify
Call or Email:
Grace Wamwere
What's Near 702 N Washington Street Everson, WA 98247?

Information is based on data available to the associate, including county records. The information has not been verified by the associate and all information presented should be verified by the buyer. Listings are provided by Northwest Multiple Listing Service as distributed by MLS GRID. The associate represented on this web site is not a multiple listing service but is a member of a local MLS.
DMCA Notice