16020 NE Bel-Red Road Bellevue, WA 98005
16020 NE Bel-Red Road
Bellevue, WA 98005
$1,600,000
Land
0 Beds
0.00 Baths
0 SqFt
Active
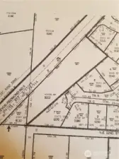
Access to the land is shown on the plat of Ashbrook Subdivision. There are two access points available. Bellevue vacant land-there are drainage issues from Bel-Red Rd., seller willing to work with qualified buyer.
Property Features
Community: East Bellevue
Res-Over 1 Acre
Pool: Above Ground
2025 Taxes: $3745.00
Buyer Broker Comp.: 3%%
Listing #: 2478477
Lot Details
Lot Size: 1.08 acres
Road: Paved
Utilities
Electricity: In Street
Water: In Street
Gas: In Street
Sewer: In Street
Schools
District: Bellevue
Elem: Buyer To Verify
Middle: Buyer To Verify
High: Interlake Snr High
Call or Email:
Grace Wamwere
What's Near 16020 NE Bel-Red Road Bellevue, WA 98005?

Information is based on data available to the associate, including county records. The information has not been verified by the associate and all information presented should be verified by the buyer. Listings are provided by Northwest Multiple Listing Service as distributed by MLS GRID. The associate represented on this web site is not a multiple listing service but is a member of a local MLS.
DMCA Notice