212 Cypress Way Lynnwood, WA 98036
212 Cypress Way
Lynnwood, WA 98036
$395,000
Land
0 Beds
0.00 Baths
0 SqFt
Active
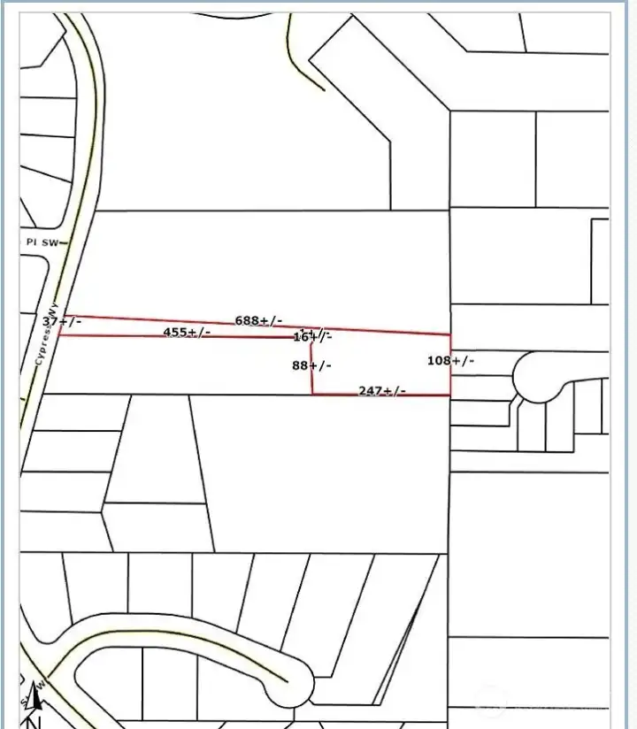
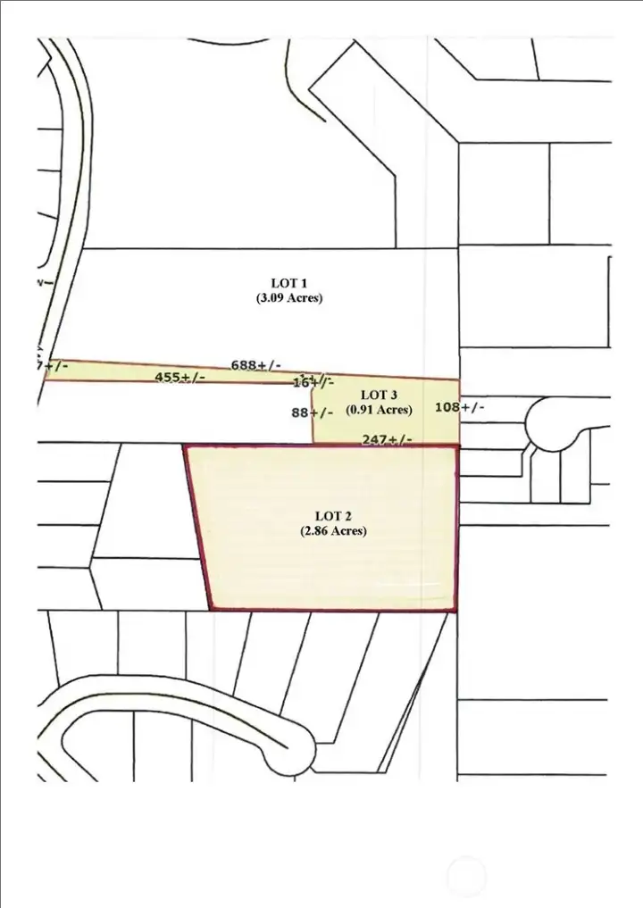
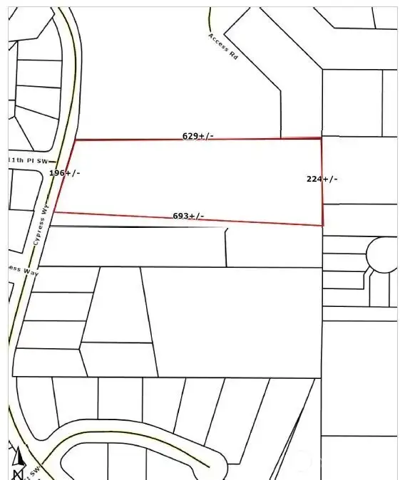
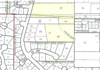
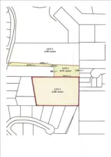
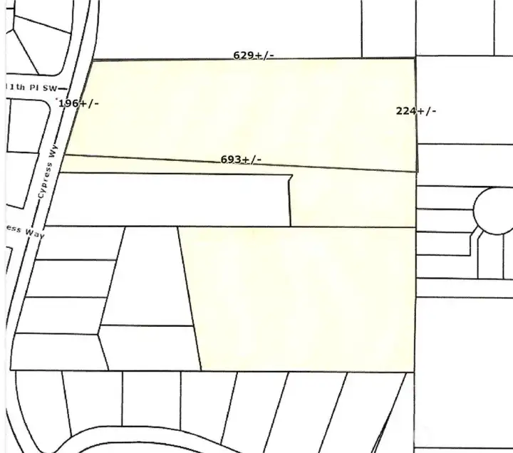
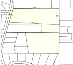
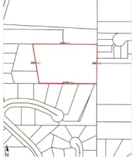
PRICED TO SELL! Exceptional 6.86 Acres (298,822 SF)3-Parcels Assemblage Land Alderwood Manor Zoned County-R-8400.Strategically Located Easy Access To Alderwood Mall, Conveniences, Parks, Lake & Easy Freeway Access. Alderwood Manor In Snohomish County Is One Of Best Place To Live In Washington & Offers Residents Dense Suburban Feel.Parcels#00373101101601-3.09 Acres(134,600 SF),#00373101101603-0.91 Acres (39,640 SF) & #00373101101502-2.86 Acres(124,582 SF). Based On Zoning*Possibility of 35*Short Plat Lots (Note 35*Short Plat Lots Is Strictly Based On Zoning. No Consideration For Land Characteristic & Unknown Condition) All Information Reliable & Not Warranted By Seller's Estate/Listing Broker. Buyers & Advisor To Verify Independently All Information To Own Satisfaction
Watch Virtual Tour #1Property Features
Community: Alderwood Manor
Res-Over 1 Acre
Comm. Grade Timber
Heavily Forested
Pasture Land
Stream/Creek
Pool: Above Ground
2024 Taxes: $484.31
Buyer Broker Comp.: **2.5**%
Listing #: 2477975
Lot Details
Lot Size: 6.85 acres
Road Sides: East Side Of Cypress Way
Road: County Maintained
Utilities
Electricity: In Street
Water: Available
Water: In Street
Gas: Not Available
Sewer: Not Available
Call or Email:
Grace Wamwere
What's Near 212 Cypress Way Lynnwood, WA 98036?

Information is based on data available to the associate, including county records. The information has not been verified by the associate and all information presented should be verified by the buyer. Listings are provided by Northwest Multiple Listing Service as distributed by MLS GRID. The associate represented on this web site is not a multiple listing service but is a member of a local MLS.
DMCA Notice