0 Nelson Moses Lake, WA 98837
0 Nelson
Moses Lake, WA 98837
$624,999
Land
0 Beds
0.00 Baths
0 SqFt
Active
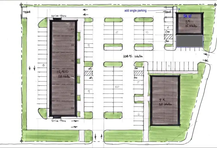
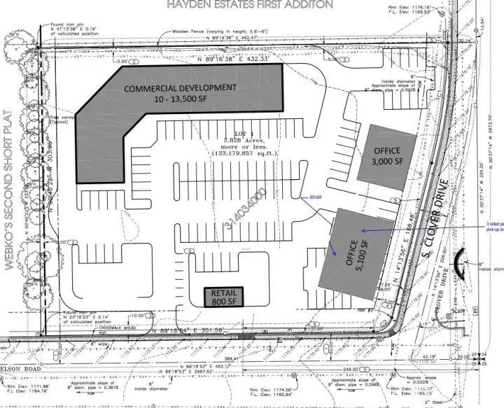
Fantastic development opportunity on this commercial lot with great access to, and visibility from, HWY 17! 2.83 Acres allow for plenty of room for a number of future businesses, with a wide variety of possibilities. Geotechnical study and Traffic Memo already complete for a 4 building development with roughly 24,000sqft of building space available over 3-4 different buildings (see photos). Much of the engineering for the lot has been completed, and architecture for a 7,000 dental office has been completed and available for review with an accepted offer. This lot is 1.5 miles from HWY 17/I-90 intersection. Great opportunity to own a high visibility lot in Moses Lake.
Property Features
Community: Moses Lake
Comm/Industrial
View: Territorial
Pool: Above Ground
Taxes: $0.00
Buyer Broker Comp.: 2%
Listing #: 2473505
Lot Details
Lot Size: 2.83 acres
Paved
Sidewalk
Topography: Level
Road: Paved
Utilities
Electricity: Available
Water: In Street
Gas: Not Available
Sewer: In Street
Schools
District: Moses Lake
Call or Email:
Grace Wamwere
What's Near 0 Nelson Moses Lake, WA 98837?

Information is based on data available to the associate, including county records. The information has not been verified by the associate and all information presented should be verified by the buyer. Listings are provided by Northwest Multiple Listing Service as distributed by MLS GRID. The associate represented on this web site is not a multiple listing service but is a member of a local MLS.
DMCA Notice