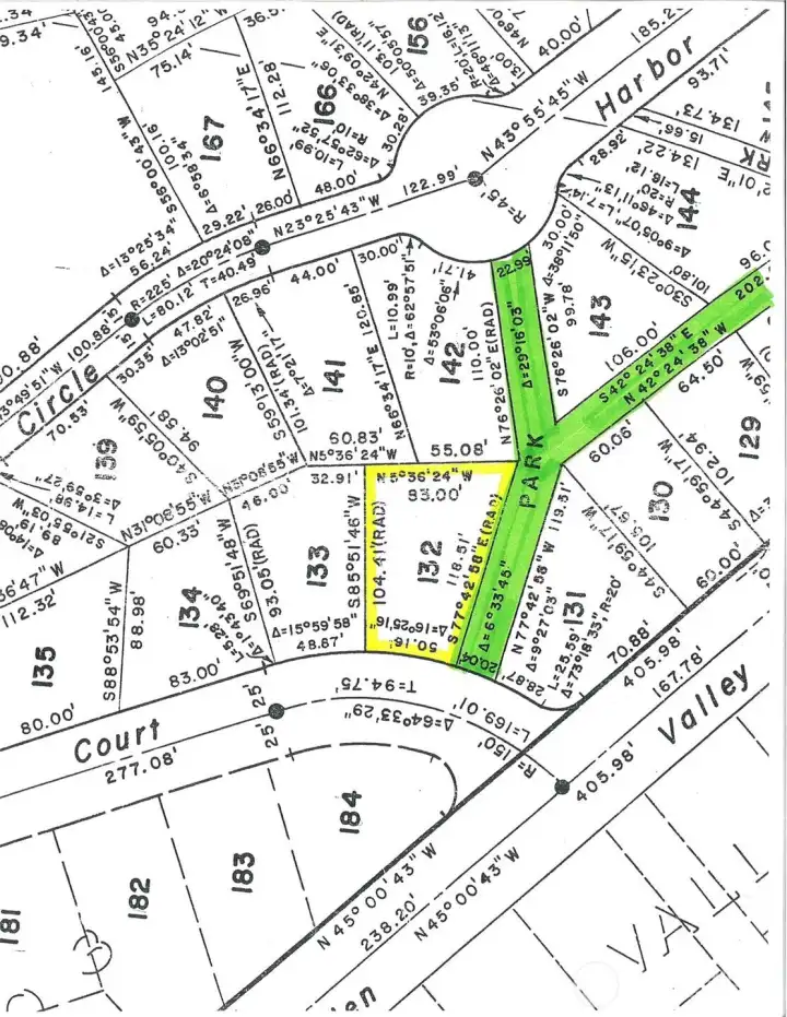
3 Maple Court Bellingham, WA 98229
3 Maple Court
Bellingham, WA 98229
$39,000
Land
0 Beds
0.00 Baths
0 SqFt
Pending Feasibility
Quality, down-sloping vacant lot which is located in the lakeside and golf course community of Sudden Valley. The property has easy access from Maple Court - and has a strip of green-belt located down the right side of the property. The property is suitable for a home plan with main level living (including garage up); and a daylight basement below. Enjoy territorial views over the immediate neighborhood to the left of the property. New home going in next door on a double lot - providing wonderful "elbow room" between homes. Quality neighborhood!
Property Features
Community: Sudden Valley
Res-Less thn 1 Ac
Brush
Evergreens
Pool: Above Ground
2025 Taxes: $85.23
Buyer Broker Comp.: 3.5%
Listing #: 2472007
Lot Details
Lot Size: 0.14 acres
Lot Dimensions: 50' x 104' x 83' x 118'
Paved
Topography: Sloped
Road: Paved
Road: Privately Maintained
Utilities
Electricity: Available
Water: Available
Water: In Street
Gas: Not Available
Sewer: Available
Community Features
Athletic Court
Boat Launch
CCRs
Club House
Golf
Park
Playground
Trail(s)
Schools
District: Bellingham
Elem: Geneva Elem
Middle: Kulshan Mid
High: Bellingham High
Call or Email:
Grace Wamwere
What's Near 3 Maple Court Bellingham, WA 98229?

Information is based on data available to the associate, including county records. The information has not been verified by the associate and all information presented should be verified by the buyer. Listings are provided by Northwest Multiple Listing Service as distributed by MLS GRID. The associate represented on this web site is not a multiple listing service but is a member of a local MLS.
DMCA Notice