1 N Water Street Ellensburg, WA 98926
1 N Water Street
Ellensburg, WA 98926
$175,000
Land
0 Beds
0.00 Baths
0 SqFt
Active
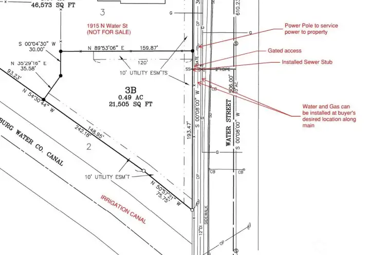
A rare opportunity to build a duplex within city limits or create the dream home you’ve always wanted! This .46-acre level lot offers incredible flexibility for investors, builders, or anyone looking for space in town. Sewer is already stubbed to the property, saving time and upfront expense. The parcel is partially fenced and provides nearly half an acre of usable ground, giving you room to spread out while still enjoying the convenience of in-town living. Close to shopping, dining, and CWU, yet with enough space to maintain privacy and breathing room. Opportunities like this don’t come along often.
Property Features
Community: North Water
Res-Less thn 1 Ac
View: City
View: Territorial
Corners Flagged
Pool: Above Ground
2026 Taxes: $0.00
Buyer Broker Comp.: 2.5%
Listing #: 2465919
Lot Details
Lot Size: 0.49 acres
Curbs
Paved
Sidewalk
Topography: Level
Road Sides: East
Road: Paved
Utilities
Electricity: Available
Water: Available
Water: In Street
Gas: Available
Sewer: Available
Sewer: On Property
Schools
District: Ellensburg
Elem: Buyer To Verify
Middle: Morgan Mid
High: Ellensburg High
Call or Email:
Grace Wamwere
What's Near 1 N Water Street Ellensburg, WA 98926?

Information is based on data available to the associate, including county records. The information has not been verified by the associate and all information presented should be verified by the buyer. Listings are provided by Northwest Multiple Listing Service as distributed by MLS GRID. The associate represented on this web site is not a multiple listing service but is a member of a local MLS.
DMCA Notice