0 Steele Street Olympia, WA 98501
0 Steele Street
Olympia, WA 98501
$150,000
Land
0 Beds
0.00 Baths
0 SqFt
Active
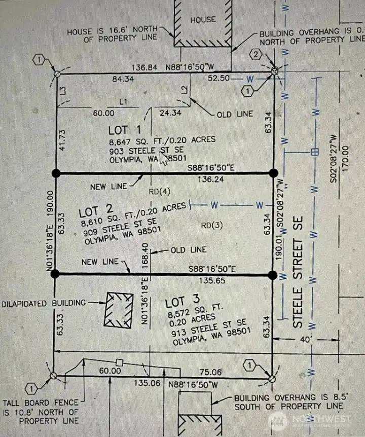
Prime Olympia infill development opportunity featuring three legal, buildable RM-18 zoned lots. Duplexes are allowed by right for up to six total units; single-family residences are also permitted. An approved and recorded Boundary Line Adjustment establishes all three parcels as legal buildable lots. A public sewer main extension is approved with individual services planned to each lot. Water service is on-site and runs along the frontage of all three lots, and electrical service is available at the corner of Lot 1. Surrounded by established residential development, including a nearby duplex. Lots available individually or as a package. Ideal for builders or investors seeking a clear path to development.
Property Features
Community: Olympia
Res-Less thn 1 Ac
View: Territorial
Pool: Above Ground
2024 Taxes: $362.45
Buyer Broker Comp.: 2.5%
Listing #: 2463904
Lot Details
Lot Size: 0.27 acres
Paved
Topography: Level
Road: Paved
Utilities
Electricity: Available
Water: Available
Gas: Available
Sewer: Available
Schools
District: Olympia
Elem: Madison Elem
Middle: Reeves Mid
High: Olympia High
Call or Email:
Grace Wamwere
What's Near 0 Steele Street Olympia, WA 98501?

Information is based on data available to the associate, including county records. The information has not been verified by the associate and all information presented should be verified by the buyer. Listings are provided by Northwest Multiple Listing Service as distributed by MLS GRID. The associate represented on this web site is not a multiple listing service but is a member of a local MLS.
DMCA Notice