1212 S 3rd Ave Sequim, WA 98382

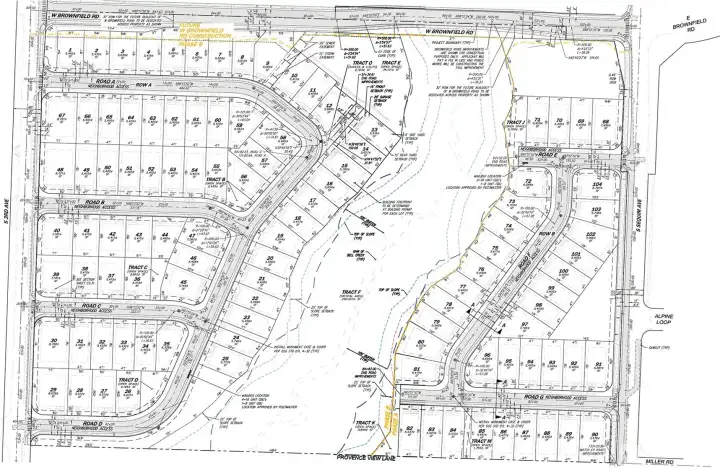
Bell Creek - 104 single family lots with engineering approval (2 phases) in Sequim, WA

Bell Creek - 104 single family lots with engineering approval (2 phases) in Sequim, WA

Bell Creek - 104 single family lots with engineering approval (2 phases) in Sequim, WA

Bell Creek - 104 single family lots with engineering approval (2 phases) in Sequim, WA

Bell Creek - 104 single family lots with engineering approval (2 phases) in Sequim, WA
1212 S 3rd Ave
Sequim, WA 98382
$4,500,000
Land
0 Beds
0.00 Baths
0 SqFt
Active
Builders: Bell Creek is a 28+ acre property in Sequim, Washington. The property is delivered with full engineering approval for a 104 single-family homesites (2 phases), ensuring a smooth path from acquisition to development! Most lots average 5,400 square feet, accommodating 35-foot-wide or larger homes and offering flexibility for various designs. Bell Creek runs through the property, naturally dividing it into two phases and creating desirable greenbelt lots. See the attached Offering Memorandum for additional information.
Property Features
Community: Sequim
Res-Over 1 Acre
View: Mountain(s)
View: Territorial
Waterfront: Creek
Brush
Partially Cleared
Pasture Land
Stream/Creek
Pool: Above Ground
Taxes: $0.00
Buyer Broker Comp.: 0%
Listing #: 2455329
Lot Details
Lot Size: 28.52 acres
Paved
Topography: Level
Topography: Rolling
Topography: See Remarks
Road Sides: E, W & S
Road: County Maintained
Utilities
Electricity: In Street
Water: In Street
Gas: Not Available
Sewer: Available
Schools
District: Sequim
Elem: Buyer To Verify
Middle: Buyer To Verify
High: Buyer To Verify
Call or Email:
Grace Wamwere
What's Near 1212 S 3rd Ave Sequim, WA 98382?

Information is based on data available to the associate, including county records. The information has not been verified by the associate and all information presented should be verified by the buyer. Listings are provided by Northwest Multiple Listing Service as distributed by MLS GRID. The associate represented on this web site is not a multiple listing service but is a member of a local MLS.
DMCA Notice