5 Shetland Court Bellingham, WA 98229
5 Shetland Court
Bellingham, WA 98229
$45,000
Land
0 Beds
0.00 Baths
0 SqFt
Pending
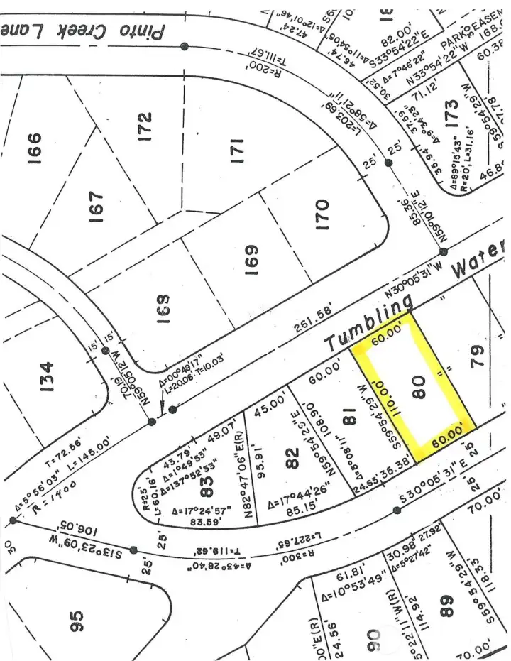
Quality, road-to-road residential vacant lot located in the lakeside & golf course community of Sudden Valley. Design options are numerous on this property as you can access the property from below off of Tumbling Water Dr. (24 Tumbling Water Dr.) or from above off of Shetland Ct. Several new homes are being built on Shetland Ct - enhancing values and finishing out the cul-de-sac. This property slopes up from Tumbling Water Dr. and has a very nice building shelf - conducive for a 2 or 3 story home with garage down. Seller can provide a custom designed house plan for the property (designed in the early 2000's - by Fuller Design) as an option. This property has been surveyed & corners are marked. Perfect property for a project in 2026!
Property Features
Community: Sudden Valley
Res-Less thn 1 Ac
View: Territorial
Brush
Corners Flagged
Evergreens
Pool: Above Ground
2025 Taxes: $182.79
Buyer Broker Comp.: 3.0%
Listing #: 2453689
Lot Details
Lot Size: 0.15 acres
Lot Dimensions: 60' x 110'
Cul-De-Sac
Topography: Sloped
Road: Paved
Road: Privately Maintained
Utilities
Electricity: Available
Water: Available
Water: In Street
Gas: Not Available
Sewer: Available
Community Features
Athletic Court
Boat Launch
CCRs
Club House
Golf
Park
Playground
Trail(s)
Schools
District: Bellingham
Elem: Geneva Elem
Middle: Kulshan Mid
High: Bellingham High
Call or Email:
Grace Wamwere
What's Near 5 Shetland Court Bellingham, WA 98229?

Information is based on data available to the associate, including county records. The information has not been verified by the associate and all information presented should be verified by the buyer. Listings are provided by Northwest Multiple Listing Service as distributed by MLS GRID. The associate represented on this web site is not a multiple listing service but is a member of a local MLS.
DMCA Notice