12628 208th Place NE Woodinville, WA 98077

Estimated location of South property line
12628 208th Place NE
Woodinville, WA 98077
$1,619,000
Land
0 Beds
0.00 Baths
0 SqFt
Active
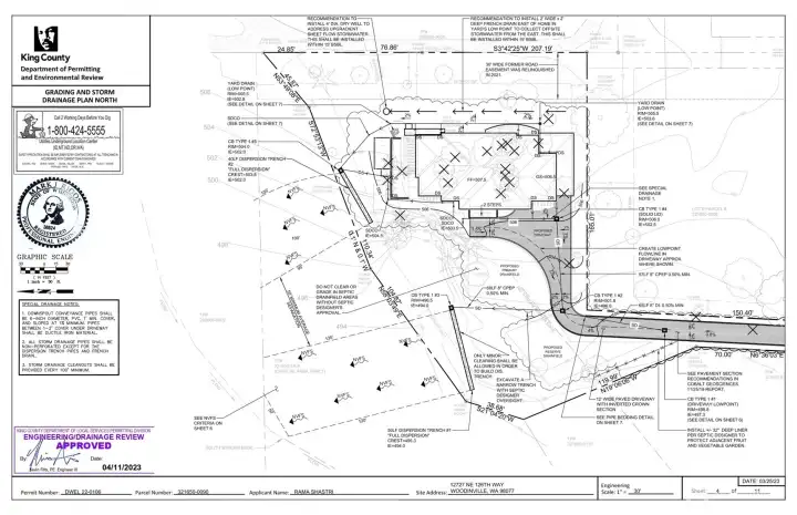
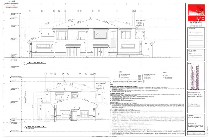
APPROVED PERMITS in hand! Discover a pristine one shy-acre vacant lot in The Hedges, a coveted Eastside neighborhood with King County Architectural plans showcase an exceptional 6,774 SF CUSTOM HOME estate, featuring a dramatic grand entrance with soaring ceilings, a luxurious primary kitchen (with a dedicated chef’s kitchen!), high-tech media room, suite-style bedrooms, main floor dedicated office plus an upstairs study area, with a full basement featuring workout zone & full bath. Elevator. Ideally located minutes from Bellevue/Redmond/Kirkland, offers a rare blend of privacy & convenience. This is a rare opportunity to build a signature residence in a premier location. Discerning homeowners or a visionary builder—this one is for you! PERMITTED PLANS ARE INCLUDED IN LISTING PRICE.
Watch Virtual Tour #1Property Features
Community: Woodinville
Res-Less thn 1 Ac
View: Territorial
Waterfront: Creek
Brush
Lightly Treed
Partially Cleared
Stream/Creek
Pool: Above Ground
2025 Taxes: $9663.00
Buyer Broker Comp.: 2.0%
Listing #: 2440112
Lot Details
Lot Size: 0.84 acres
Cul-De-Sac
Paved
Secluded
Topography: Level
Road Sides: South
Road: County Maintained
Road: County Right of Way
Road: Paved
Watch Virtual Tour #2Utilities
Electricity: In Street
Water: Available
Water: In Street
Gas: In Street
Sewer: Not Available
Schools
District: Lake Washington
Elem: Wilder Elem
Middle: Timberline Middle
High: Redmond High
Call or Email:
Grace Wamwere
What's Near 12628 208th Place NE Woodinville, WA 98077?

Information is based on data available to the associate, including county records. The information has not been verified by the associate and all information presented should be verified by the buyer. Listings are provided by Northwest Multiple Listing Service as distributed by MLS GRID. The associate represented on this web site is not a multiple listing service but is a member of a local MLS.
DMCA Notice