1552 E Trails End (& RASOR) Drive Belfair, WA 98528

Property is pn the right 1 mile from Trails on Rasor

Frontage on Rasor

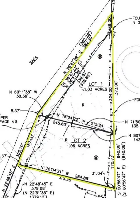
2 Tax Parcels

Survey
1552 E Trails End (& RASOR) Drive
Belfair, WA 98528
$184,000
Land
0 Beds
0.00 Baths
0 SqFt
Pending Feasibility
Tranquil 2+ Acres Near Trails End Lake – Two Tax Parcels, Endless Possibilities! Discover the beauty and potential of this wooded 2+ acre property nestled among mature evergreens in a peaceful setting near Trails End Lake and potential Mountain view! Featuring two separate tax parcels, this offering provides flexibility for building, investment, or extended living. Enjoy paved road frontage with power at the street and a shared well connection available. A secondary easement road offers convenient access to the back of the property. Located in an area of quality homes and natural beauty—whether you're planning your dream home or a weekend escape, this is a rare opportunity to own a versatile slice of the Pacific Northwest.
Property Features
Community: Trails End
Res-Over 1 Acre
View: See Remarks
Heavily Forested
Lightly Treed
Pool: Above Ground
2025 Taxes: $1152.00
Buyer Broker Comp.: 5%
Listing #: 2412865
Lot Details
Lot Size: 2.09 acres
Dead End Street
Paved
Topography: Level
Topography: Rolling
Topography: Sloped
Road Sides: East & West sides
Road: Access Easement
Road: County Right of Way
Road: Privately Maintained
Utilities
Electricity: In Street
Water: Available
Water: Share Available
Water: Shared Well
Gas: Not Available
Sewer: Not Available
Schools
District: North Mason #403
Elem: Belfair Elem
Middle: Hawkins Mid
High: North Mason Snr High
Call or Email:
Grace Wamwere
What's Near 1552 E Trails End (& RASOR) Drive Belfair, WA 98528?

Information is based on data available to the associate, including county records. The information has not been verified by the associate and all information presented should be verified by the buyer. Listings are provided by Northwest Multiple Listing Service as distributed by MLS GRID. The associate represented on this web site is not a multiple listing service but is a member of a local MLS.
DMCA Notice