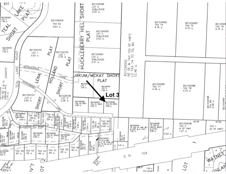
3 Huckleberry Lane Port Ludlow, WA 98365

Lot three has a utility easement, perfect for your driveway!
3 Huckleberry Lane
Port Ludlow, WA 98365
$75,000
Land
0 Beds
0.00 Baths
0 SqFt
Active
View of the mountains and Hood Canal from this gentle sloping lot located minutes from the Hood Canal Bridge. ThePeninsula offer tons of recreational activities such as hiking, camping, all types of water activities and golf withinminutes of this property. Easy access to the Hood Canal Bridge, Kingston ferry terminal, Poulsbo, Port Ludlow and theBangor Submarine Base. Harvest clams and mussels at the nearby beaches or put your boat in Hood Canal at thenearby launch. Property has slight slope creating the perfect opportunity to build your dream home and enhance yourview. No restrictions on this lot. Seller is open to financing. Additional lots available:2374103 & 2374104
Property Features
Community: Bywater Bay
Res-Less thn 1 Ac
View:
View: Bay
View: Territorial
Brush
Evergreens
Lightly Treed
Partially Cleared
Pool: Above Ground
2025 Taxes: $620.00
Buyer Broker Comp.: 4%
Listing #: 2374105
Lot Details
Lot Size: 0.67 acres
Lot Dimensions: 158x165x203x167
High Voltage Line
Topography: Sloped
Road Sides: West
Road: County Maintained
Road: Gravel
Utilities
Electricity: In Street
Water: Available
Water: Community Well
Gas: Not Available
Sewer: Not Available
Community Features
Boat Launch
Community Well
Schools
District: Chimacum #49
Elem: Buyer To Verify
Middle: Buyer To Verify
High: Buyer To Verify
Call or Email:
Grace Wamwere
What's Near 3 Huckleberry Lane Port Ludlow, WA 98365?

Information is based on data available to the associate, including county records. The information has not been verified by the associate and all information presented should be verified by the buyer. Listings are provided by Northwest Multiple Listing Service as distributed by MLS GRID. The associate represented on this web site is not a multiple listing service but is a member of a local MLS.
DMCA Notice