0 Miles Creston Road Deer Meadows, WA 99122
0 Miles Creston Road
Deer Meadows, WA 99122
$160,000
Land
0 Beds
0.00 Baths
0 SqFt
Active
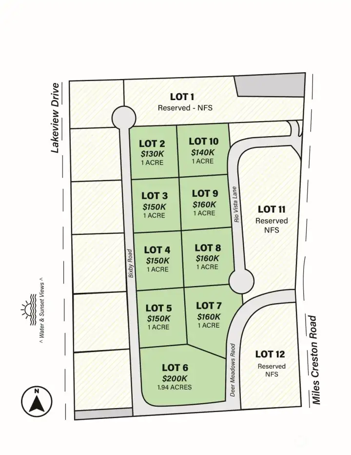
LOT #7 of 9 newly developed lots in Deer Meadows along Lake Roosevelt near the Spokane River. With stunning views from every lot & 150 miles of pristine waterways, enjoy endless outdoor adventures like fishing, hunting, & water sports. This lot is on 1.03 acres, with new access road, water, & power ready. Nearby are two boat launches, Seven Bays & Two Rivers, plus boat rentals at both locations. Conveniently close to Davenport, Spokane, & local favorites like The Fort, Seven Bays Restaurant, Love Birds Coffee Shop, Fruitland Valley Winery, Maverick Pub & the community also looks forward to a new golf course opening soon.
Watch Virtual Tour #1Property Features
Community: Deer Meadows
Res-Over 1 Acre
View: Golf Course
View: Lake
View: River
View: Territorial
Corners Flagged
Pool: Above Ground
2024 Taxes: $252.00
Listing #: 2329251
Lot Details
Lot Size: 1.03 acres
Paved
Topography: Sloped
Road: Gravel
Watch Virtual Tour #2Utilities
Electricity: On Property
Water: Community Well
Water: On Property
Gas: Not Available
Sewer: Not Available
Community Features
CCRs
Community Well
Call or Email:
Grace Wamwere
What's Near 0 Miles Creston Road Deer Meadows, WA 99122?

Information is based on data available to the associate, including county records. The information has not been verified by the associate and all information presented should be verified by the buyer. Listings are provided by Northwest Multiple Listing Service as distributed by MLS GRID. The associate represented on this web site is not a multiple listing service but is a member of a local MLS.
DMCA Notice