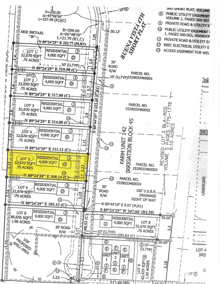
0 Lot 5 Pancho Villa Lane Othello, WA 99344
0 Lot 5 Pancho Villa Lane
Othello, WA 99344
$120,000
Land
0 Beds
0.00 Baths
0 SqFt
Active
Prime Building Lot Available! Lot 5 on Pancho Villa Lane! At THREE-QUARTERS of an ACRE, this is the Perfect Size - not too big, not too small!! Big enough for a shop and nearly any size house! Domestic Water, Irrigation Water, and POWER are ON SITE! Yes, this property is BUILD-READY!!!
Property Features
Community: Othello
Res-Less thn 1 Ac
View: Territorial
Pool: Above Ground
2024 Taxes: $166.00
Buyer Broker Comp.: 2%
Listing #: 2314446
Lot Details
Lot Size: 0.75 acres
Topography: Level
Road Sides: East
Road: Gravel
Utilities
Electricity: In Street
Water: Community Well
Gas: Not Available
Sewer: Not Available
Sewer: On Property
Community Features
CCRs
Community Well
Schools
District: Othello
Elem: Buyer To Verify
Middle: Buyer To Verify
High: Buyer To Verify
Call or Email:
Grace Wamwere
What's Near 0 Lot 5 Pancho Villa Lane Othello, WA 99344?

Information is based on data available to the associate, including county records. The information has not been verified by the associate and all information presented should be verified by the buyer. Listings are provided by Northwest Multiple Listing Service as distributed by MLS GRID. The associate represented on this web site is not a multiple listing service but is a member of a local MLS.
DMCA Notice