16777215 George Property Moses Lake, WA 98837
16777215 George Property
Moses Lake, WA 98837
$989,000
Land
0 Beds
0.00 Baths
0 SqFt
Pending Feasibility
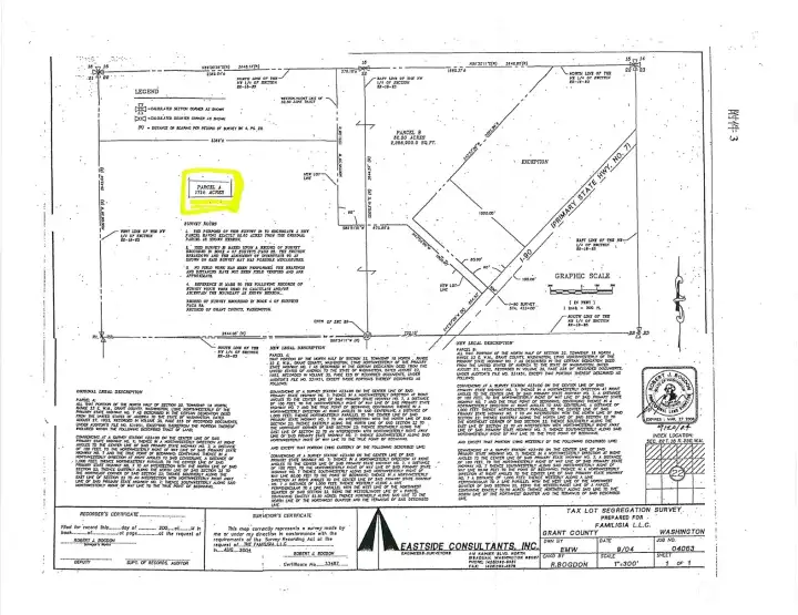
A prime 173 acres of vacant land with great visibility from I-90 and significant potential due to its proximity to the Gorge Amphitheater, Cave B Winery, Microsoft Data Center in Quincy, and the booming green technology industrial clusters in Moses Lake. The rural residential 1 zoning in Grant County allows for 5 acres per dwelling unit, which offers flexibility for possible residential development. This location could be an excellent investment opportunity or a strategic location for various purposes including solar power production.
Property Features
Community: Moses Lake
Res-Over 1 Acre
View: Territorial
Partially Cleared
Pool: Above Ground
2023 Taxes: $1717.52
Buyer Broker Comp.: 3%
Listing #: 2148342
Lot Details
Lot Size: 173.00 acres
Topography: Level
Road: Gravel
Road: Paved
Utilities
Electricity: In Street
Water: Unknown - Verify
Gas: Not Available
Sewer: Not Available
Schools
District: Moses Lake
Call or Email:
Grace Wamwere
What's Near 16777215 George Property Moses Lake, WA 98837?

Information is based on data available to the associate, including county records. The information has not been verified by the associate and all information presented should be verified by the buyer. Listings are provided by Northwest Multiple Listing Service as distributed by MLS GRID. The associate represented on this web site is not a multiple listing service but is a member of a local MLS.
DMCA Notice